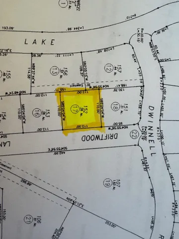
Unit 3 Lot 152 Driftwood , Weed, CA 96094

  • $2,995
Unit 3 Lot 152 Driftwood , Weed, CA 96094
Closed
Unit 3 Lot 152 Driftwood , Weed, CA 96094
Unit 3 Lot 152 Driftwood , Weed, CA 96094
  • $2,995

Description

…with sewer (buyer to verify), landline phone, power and water at the property line. Located just north of Weed off of Highway 97, Lake Shastina is a residential community with Police and Fire Departments, a medical clinic, beautiful Hoy Park, a Community Center, Country Club with Two Golf Courses and private boat launching areas. Two ski resorts, hiking, fly fishing, gold mining and two country stores all within a short distance. The POA Dues are $336 a year (billed at $168 Semi Annually), subject to change.

  • Address Unit 3 Lot 152 Driftwood
  • City Weed
  • State/county CA
  • Zip/Postal Code 96094
  • Area Lake Shastina

Details

Updated on November 6, 2024 at 1:08 am
  • Property ID: HZ20240486
  • Price: $2,995
  • Garage Size: x x
  • Property Type: LOT, Land
  • Property Status: Closed

Additional details

  • Property Type: Land

Mortgage Calculator

Monthly
  • Down Payment
  • Loan Amount
  • Monthly Mortgage Payment
$
%
%

Compare listings

Compare
Rich Cloutman
  • Rich Cloutman